 Валентина Степановна задала нам вопрос: «Крыжовник второй год практически не плодоносит. В чем может быть причина? Как справиться с проблемой?»
Валентина Степановна задала нам вопрос: «Крыжовник второй год практически не плодоносит. В чем может быть причина? Как справиться с проблемой?»
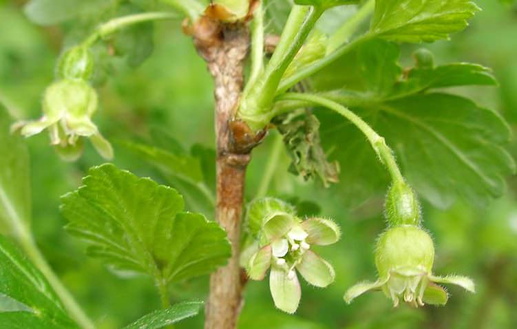
У крыжовника ежегодно вырастают новые побеги, так заложено природой. Но если представленный процесс не происходит, урожая не будет!
Содержание
У части кустов вырастает необходимое количество побегов, у других – больше, чем нужно. В последнем случае рекомендуется удалять лишние. Бывает, что побегов недостаточно, тогда необходимо следить за каждым появляющимся росточком. Что влияет на урожай?

Число ежегодно оставляемых побегов зависит от таких факторов:
В большинстве случаев ягоды образуются на местах, где они были прошлом году. Наибольший урожай следует ждать на втором году жизни. Ежегодно приросты уменьшаются, соответственно, плодов становится меньше.
Плодоношение сохраняется лишь до 4-го года жизни, затем ягоды остаются на кончиках веток. Ветви, которым более 5 лет, оставлять не имеет смысла.

Многие удаляют однолетний прирост. Это неправильно, если сорт крыжовника отличается тем, что плоды образуются на прошлогодних побегах, урожай вы потеряете, так как ягоды на прошлогодних ветках будет крайне мало.
Поступать следует так: осенью оставьте 4 самых сильных новых побега, вырежьте 4 старых ветви. Плодоношение выровняется. С длинными побегами бороться не имеет смысла. Это лишь отличительная черта сорта.
Ряд сортов отличается хорошим плодоношением в течение 6 лет – Яровой, Лондон, Финик. Требуется омоложение, так как ягоды на новых ветвях будут крупнее. На старых ветвях могут образовываться грибки, селится стеклянница. Рекомендовано удалять ветки старше 5 лет, они малоурожайны.

Вам также стоит детально изучить статью о правилах посадки и выращивания крыжовника.
Крыжовник – светолюбивый кустарник. Если посадки сильно загущены, растение высажено в тени деревьев, затянуто в жесткий корсет – ветки развиваются плохо. Ягоды также завязываются плохо. Они обычно мелкие, вкус ухудшается. Если затенение сильное, цветения вовсе не будет. Могут образовываться грибные болезни, даже на устойчивых сортах.

Может поспособствовать плохому урожаю сферотека. Если ягоды не опадают, форма их уродливая, плоды не пригодны для применения. Существует ряд сортов, которые не цветут без опыления. В большинстве крыжовник самоопыляем. Крыжовник влаголюбив, важно обеспечить хороший полив на первом году жизни. Если этого не сделать, в будущем хорошего урожая можно не ждать.

Позитивные реальные феи Мурманска, сочные и сладкие, они такие активные и чуткие, что любой захочет их. Не упусти свой шанс. Встречаются индивидуально на своей территории класса люкс, реальные феи Мурманска, ели хочешь шикарно отдохнуть - wowmurmansk.ru. Перед вами предстанут лучшие девушки интимной жизни города.
Отзывы и комментарии